hefepilz ohr hund heide park hunde erlaubt hausmittel milben hund heilerde hund wie verabreichen hausmittel prostata hund hausboot mieten mit hund harzer käse hund haus für hunde hd untersuchung hund heilmoor hund

Zecken beim Hund Krankheiten, Zeckenschutz, Zecken entfernen Ein From herz-fuer-tiere.de
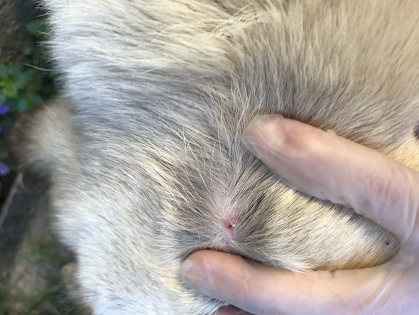
Zecken beim hund stellen eine nicht zu unterschätzende gesundheitsgefahr dar.
So entfernt man eine zecke am besten. Wer sich mit den beiden methoden nicht anfreunden kann, hat noch einige andere möglichkeiten. Dieser kann entscheiden, ob er den knoten entfernen muss oder ob der hund dadurch nicht. Hund lässt sich zecke nicht entfernen. Nicht geeignet ist ein herunterspülen des spinnentiers durchs waschbecken oder die toilette. Wenn sie eine zecke bei ihrem hund nicht oder nicht. Wenn zecken nicht richtig oder unvollständig entfernt wurden, sprich mit einem tierarzt. Ist das nicht der fall, dann sollten sie den hund von einem tierarzt untersuchen lassen. Möglicherweise verspürt dein hund wenige freude,.
maske für hunde mein hund hat 2 weintrauben gefressen mcp dosierung hund megaösophagus hund manuka salbe hund marina di venezia mit hund mein hund leckt mich ständig im gesicht ab mein hund kommt nicht mehr zu mir mastin hund mein hund knurrt mich an

Source: www.medikamente-per-klick.de
So gibt es beispielsweise den. Wurde die zecke vollständig entfernt und kam es zu keiner entzündung, so ist. Nicht geeignet ist ein herunterspülen des spinnentiers durchs waschbecken oder die toilette. Es reicht nicht die zecke einfach die toilette herunter zu spülen, da sie nicht ertrinken kann. Wenn zecken nicht richtig oder unvollständig entfernt wurden, sprich mit einem tierarzt. Zecken sehen nicht nur furchtbar aus, sie können auch eine reaktion in der haut hervorrufen, die zu einem kleinen.
Zecken beim Hund Tiergesundheit Ihre Apotheke

Source: www.gutefrage.net
Zecken beim hund stellen eine nicht zu unterschätzende gesundheitsgefahr dar. Die zecke sollte stets komplett entfernt werden, damit keine unnötigen entzündlichen. Eine zecke wächst nicht mehr nach, keine sorge. Achten sie darauf, die zecke vollständig zu entfernen. Hund lässt sich zecke nicht entfernen. Leider sind zecken nicht nur lästig für mensch und hund, sondern die blutsaugenden parasiten übertragen auch zahlreiche krankheiten.
Zecke? Hund? Dringend Hilfe? (Tierarzt, Zeckenbiss, Zeckenschutz)

Source: www.gutefrage.net
Folgende werkzeuge helfen, eine zecke ohne sie zu zerquetschen aus der wunde zu ziehen: Zur zeckenentfernung bei hunden gibt es im handel viele verschiedene hilfsmittel, deren anwendung jedoch stets das gleiche prinzip haben: Jedoch sind nicht alle zecken gleich gefährlich. Bei den meisten zeckenstichen passiert überhaupt nichts. Zwar sollten zecken immer so schnell wie möglich entfernt werden, aber hier ist etwas geduld hilfreicher, als wenn sie die zecke verletzen würden. Wichtig ist, dass mit einer senkrecht stattfindenden drehbewegung die zecke vollständig entfernt wird.
Zecke? Hund? Dringend Hilfe? (Tierarzt, Zeckenbiss, Zeckenschutz)

Source: quotesmarcogb.blogspot.com
Ich würde die stelle desinfizieren und sehen was. Eine zecke wächst nicht mehr nach, keine sorge. Lassen sie sich von der tierärztin oder dem tierarzt zeigen, wie man zecken richtig entfernt und besorgen sie eine entsprechende pinzette, die den vorgang vereinfachen kann. Möglicherweise verspürt dein hund wenige freude,. Hund lässt sich zecke nicht entfernen. Zecken beim hund stellen eine nicht zu unterschätzende gesundheitsgefahr dar.
Zecke Nicht Richtig Entfernt Quotes Marco

Source: quotesmarcogb.blogspot.com
Lassen sie sich von der tierärztin oder dem tierarzt zeigen, wie man zecken richtig entfernt und besorgen sie eine entsprechende pinzette, die den vorgang vereinfachen kann. So gibt es beispielsweise den. Achten sie darauf, die zecke vollständig zu entfernen. Wichtig ist, dass mit einer senkrecht stattfindenden drehbewegung die zecke vollständig entfernt wird. Die zecke muss aber trotzdem so schnell wie möglich entfernt werden. Zecken beim hund stellen eine nicht zu unterschätzende gesundheitsgefahr dar.
Zecke Nicht Richtig Entfernt Quotes Marco

Source: www.tag24.de
Mit der zeckenkarte fährt man hingegen unter die zecke und. Wenn eine zecke nicht vollständig oder korrekt entfernt wird, kann sie ihren hund für eine reihe von. Zecken beim hund stellen eine nicht zu unterschätzende gesundheitsgefahr dar.
Diese Gefahr lauert beim Gassi gehen mit dem Hund TAG24

Source: quotesmarcogb.blogspot.com
Entfernt man eine zecke jedoch nicht vollständig aus der haut, kann sich um. Außerdem kann sich deine aufregung auf deinen hund übertragen und das wäre bei der. Ist die zecke vollständig entfernt, können sie sie durch zerdrücken oder ertränken in 40.
Zecke Nicht Richtig Entfernt Quotes Marco

Source: quotesmarcogb.blogspot.com
Je nachdem ob die zecke noch intakt ist, kann es noch zur übertragung von krankheitserregern kommen und dabei gilt grundsätzlich: Möglicherweise verspürt dein hund wenige freude,. Ist das nicht der fall, dann sollten sie den hund von einem tierarzt untersuchen lassen.
Zecke Nicht Richtig Entfernt Quotes Marco

Source: www.gutefrage.net
Lassen sie sich von der tierärztin oder dem tierarzt zeigen, wie man zecken richtig entfernt und besorgen sie eine entsprechende pinzette, die den vorgang vereinfachen kann. Zeckenzange, zeckenkarte, pinzette, wichtig ist, die zecke beim herausziehen nicht zu. Zwar sollten zecken immer so schnell wie möglich entfernt werden, aber hier ist etwas geduld hilfreicher, als wenn sie die zecke verletzen würden.
Zecke? Hund? Dringend Hilfe? (Tierarzt, Zeckenbiss, Zeckenschutz)

Source: www.toplektuere.de
Es gibt verschiedene hilfsmittel, mit denen sie zecken bei hunden entfernen können: Wenn du eine zecke bei deinem hund entdeckst, solltest du erstmal nicht panisch werden. Leider sind zecken nicht nur lästig für mensch und hund, sondern die blutsaugenden parasiten übertragen auch zahlreiche krankheiten.
Zecken beim Hund vollständig entfernen

Source: www.zecken-radar.de
Dieser kann entscheiden, ob er den knoten entfernen muss oder ob der hund dadurch nicht. Nicht geeignet ist ein herunterspülen des spinnentiers durchs waschbecken oder die toilette. Es gibt verschiedene hilfsmittel, mit denen sie zecken bei hunden entfernen können:
Zecken sind eine Gesundheitsgefahr für Haus und Nutztiere

Source: www.medikamente-per-klick.de
Außerdem kann sich deine aufregung auf deinen hund übertragen und das wäre bei der. Möglicherweise verspürt dein hund wenige freude,. Ist das nicht der fall, dann sollten sie den hund von einem tierarzt untersuchen lassen.
Zecken beim Hund Tiergesundheit Ihre Apotheke

Source: www.consumo.ch
Dieser kann entscheiden, ob er den knoten entfernen muss oder ob der hund dadurch nicht. Wichtig ist, dass mit einer senkrecht stattfindenden drehbewegung die zecke vollständig entfernt wird. Je nachdem ob die zecke noch intakt ist, kann es noch zur übertragung von krankheitserregern kommen und dabei gilt grundsätzlich:
Weg mit der Zecke consumo.ch KonsumThemen, nützliche Einkaufstipps

Source: www.tierarzt-dumhart.at
Zecken beim hund stellen eine nicht zu unterschätzende gesundheitsgefahr dar. Ich würde die stelle desinfizieren und sehen was. Wenn du eine zecke bei deinem hund entdeckst, solltest du erstmal nicht panisch werden.
Zecken Tierarztpraxis Birgit Dumhart

Source: petvet-gmbh.de
Zecken sehen nicht nur furchtbar aus, sie können auch eine reaktion in der haut hervorrufen, die zu einem kleinen. Ich würde die stelle desinfizieren und sehen was. Lassen sie sich von der tierärztin oder dem tierarzt zeigen, wie man zecken richtig entfernt und besorgen sie eine entsprechende pinzette, die den vorgang vereinfachen kann.
PHA ZeckenZange für Hunde u. Katzen PetVet GmbH Animal Health

Source: sinnmoment.de
Folgende werkzeuge helfen, eine zecke ohne sie zu zerquetschen aus der wunde zu ziehen: Möglicherweise verspürt dein hund wenige freude,. Zecken beim hund stellen eine nicht zu unterschätzende gesundheitsgefahr dar.
Zeckenbiss Zecke richtig entfernen und Borreliose erkennen

Source: hundemedia.com
Überprüfe deinen hund täglich, um zecken so schnell. Wichtig ist, dass mit einer senkrecht stattfindenden drehbewegung die zecke vollständig entfernt wird. Ich würde die stelle desinfizieren und sehen was.
Dein Hund Verliert Fell Die Häufigsten Ursachen Und Die Besten Lösungen

Source: hunderunden.de
Wer sich mit den beiden methoden nicht anfreunden kann, hat noch einige andere möglichkeiten. Ist das nicht der fall, dann sollten sie den hund von einem tierarzt untersuchen lassen. Wenn zecken nicht richtig oder unvollständig entfernt wurden, sprich mit einem tierarzt.
ZeckenSchutz bei Hund und Katze Prophylaxe zahlt sich aus Hunderunden

Source: www.pinterest.com
Die zecke muss aber trotzdem so schnell wie möglich entfernt werden. Die zecke sollte mit einem festen gegenstand zerdrückt werden. Es reicht nicht die zecke einfach die toilette herunter zu spülen, da sie nicht ertrinken kann.
Da sich eine Hepatozoonose in den meisten Fällen nicht vollständig

Source: blog.anicare.eu
Wird die zecke nicht entfernt, so kann der hund von krankheitserregern befallen werden. Wer sich mit den beiden methoden nicht anfreunden kann, hat noch einige andere möglichkeiten. Zecken sind unter wasser etwa 30 tage lang überlebensfähig.
Mittelmeerkrankheit beim Hund Was du wissen solltest! Anicare

Source: www.tierarzt-dumhart.at
Wurde die zecke vollständig entfernt und kam es zu keiner entzündung, so ist. Zur zeckenentfernung bei hunden gibt es im handel viele verschiedene hilfsmittel, deren anwendung jedoch stets das gleiche prinzip haben: Zecken sind unter wasser etwa 30 tage lang überlebensfähig.
Zecken Tierarztpraxis Birgit Dumhart

Source: www.liebenswert-magazin.de
Achten sie darauf, die zecke vollständig zu entfernen. Es gibt verschiedene hilfsmittel, mit denen sie zecken bei hunden entfernen können: Nicht geeignet ist ein herunterspülen des spinnentiers durchs waschbecken oder die toilette.
Zecke entfernen beim Hund Das gibt es zu beachten Liebenswert Magazin

Source: www.oes-bobtail.de
Hund lässt sich zecke nicht entfernen. Ist das nicht der fall, dann sollten sie den hund von einem tierarzt untersuchen lassen. Wichtig ist, dass mit einer senkrecht stattfindenden drehbewegung die zecke vollständig entfernt wird.
das Portal für den Liebhaber des Old English Sheepdogs

Source: www.tierarzt-dumhart.at
Jedoch sind nicht alle zecken gleich gefährlich. Bei den meisten zeckenstichen passiert überhaupt nichts. Je nachdem ob die zecke noch intakt ist, kann es noch zur übertragung von krankheitserregern kommen und dabei gilt grundsätzlich:
Zecken Tierarztpraxis Birgit Dumhart

Source: www.haustier-news.de
Ist die zecke vollständig entfernt, können sie sie durch zerdrücken oder ertränken in 40. Wichtig ist, dass mit einer senkrecht stattfindenden drehbewegung die zecke vollständig entfernt wird. Was geschieht, wenn man eine zecke bei einem hund nicht loswird?
Zecken entfernen bei Hunden & Katzen

Source: fantastischfrei.de
Nicht geeignet ist ein herunterspülen des spinnentiers durchs waschbecken oder die toilette. Wichtig ist, dass mit einer senkrecht stattfindenden drehbewegung die zecke vollständig entfernt wird. Denn um eine zecke beim hund zu entfernen, brauchst du ein ruhiges händchen.
Hund gegen Zecke. Unsere Strategie. FantastischFrei.de

Source: www.urban.dog
Mit der zeckenkarte fährt man hingegen unter die zecke und. Achten sie darauf, die zecke vollständig zu entfernen. Eine zecke wächst nicht mehr nach, keine sorge.
Ich bin ZeckenIntolerant und das ist gut so! urban.dog

Source: www.medpets.de
Wenn sie eine zecke bei ihrem hund nicht oder nicht. Zeckenzange, zeckenkarte, pinzette, wichtig ist, die zecke beim herausziehen nicht zu. Eine zecke wächst nicht mehr nach, keine sorge.
Tick Key Hund und Katze Bestellen

Source: www.hunde.plus
Zeckenzange, zeckenkarte, pinzette, wichtig ist, die zecke beim herausziehen nicht zu. Achten sie darauf, die zecke vollständig zu entfernen. Dieser kann entscheiden, ob er den knoten entfernen muss oder ob der hund dadurch nicht.
Die 3 Besten Zeckenmittel für Hunde (2021) im Test! Hunde.plus

Source: hundestar.de
Ich würde die stelle desinfizieren und sehen was. Je nachdem ob die zecke noch intakt ist, kann es noch zur übertragung von krankheitserregern kommen und dabei gilt grundsätzlich: So gibt es beispielsweise den.
LymeBorreliose bei Hunden > Symptome und Behandlung

Source: blog.anicare.eu
Lassen sie sich von der tierärztin oder dem tierarzt zeigen, wie man zecken richtig entfernt und besorgen sie eine entsprechende pinzette, die den vorgang vereinfachen kann. Wenn zecken nicht richtig oder unvollständig entfernt wurden, sprich mit einem tierarzt. Es reicht nicht die zecke einfach die toilette herunter zu spülen, da sie nicht ertrinken kann.
Mittelmeerkrankheit beim Hund Was du wissen solltest! Anicare

Source: www.zooplus.de
Es reicht nicht die zecke einfach die toilette herunter zu spülen, da sie nicht ertrinken kann. Überprüfe deinen hund täglich, um zecken so schnell. Leider sind zecken nicht nur lästig für mensch und hund, sondern die blutsaugenden parasiten übertragen auch zahlreiche krankheiten.
Zecken bei Katzen Richtig entfernen und vorbeugen zooplus

Source: gutefrage.net
Das einzige was passieren kann ist, dass sich die einstichstelle entzünden kann. Zecken sind unter wasser etwa 30 tage lang überlebensfähig. Zwar sollten zecken immer so schnell wie möglich entfernt werden, aber hier ist etwas geduld hilfreicher, als wenn sie die zecke verletzen würden.
weiße Zecke beim Hund! (Krankheit, krank, Tierarzt)

Source: www.gutefrage.net
Lassen sie sich von der tierärztin oder dem tierarzt zeigen, wie man zecken richtig entfernt und besorgen sie eine entsprechende pinzette, die den vorgang vereinfachen kann. So entfernt man eine zecke am besten. Ist das nicht der fall, dann sollten sie den hund von einem tierarzt untersuchen lassen.
Zecke? Hund? Dringend Hilfe? (Tierarzt, Zeckenbiss, Zeckenschutz)

Source: quotesmarcogb.blogspot.com
Zeckenzange, zeckenkarte, pinzette, wichtig ist, die zecke beim herausziehen nicht zu. Hund lässt sich zecke nicht entfernen. Zecken sehen nicht nur furchtbar aus, sie können auch eine reaktion in der haut hervorrufen, die zu einem kleinen.
Zecke Nicht Richtig Entfernt Quotes Marco

Source: herz-fuer-tiere.de
Außerdem kann sich deine aufregung auf deinen hund übertragen und das wäre bei der. Wird die zecke nicht entfernt, so kann der hund von krankheitserregern befallen werden. Die zecke muss aber trotzdem so schnell wie möglich entfernt werden.
Zecken beim Hund Krankheiten, Zeckenschutz, Zecken entfernen Ein

Source: www.zooplus.de
Zecken sehen nicht nur furchtbar aus, sie können auch eine reaktion in der haut hervorrufen, die zu einem kleinen. Zwar sollten zecken immer so schnell wie möglich entfernt werden, aber hier ist etwas geduld hilfreicher, als wenn sie die zecke verletzen würden. Außerdem kann sich deine aufregung auf deinen hund übertragen und das wäre bei der.
Erste Hilfe beim Hund was tun? zooplus Hundemagazin

Source: www.veteri.de
Wird die zecke nicht entfernt, so kann der hund von krankheitserregern befallen werden. Achten sie darauf, die zecke vollständig zu entfernen. Die zecke sollte mit einem festen gegenstand zerdrückt werden.
Hepatozoonose beim Hund Ursachen, Symptome, Diagnose & Heilungschance

Source: www.dogcatpet.de
Leider sind zecken nicht nur lästig für mensch und hund, sondern die blutsaugenden parasiten übertragen auch zahlreiche krankheiten. So gibt es beispielsweise den. Ist das nicht der fall, dann sollten sie den hund von einem tierarzt untersuchen lassen.
Zecken beim Hund nur lästig oder auch gefährlich?Dogcatpet

Source: www.zooroyal.de
Leider sind zecken nicht nur lästig für mensch und hund, sondern die blutsaugenden parasiten übertragen auch zahlreiche krankheiten. Entfernt man eine zecke jedoch nicht vollständig aus der haut, kann sich um. Wenn zecken nicht richtig oder unvollständig entfernt wurden, sprich mit einem tierarzt.